logo logo

Fundraise For

Animal

Education

Emergency

Events

Family

Medical

Sports

Environment

Business

Other

Solidarity with Lebanon

See All

How it Works

Sign in

Start a Campaign

Permanent Fundraiser

Search Serach
Sign in
Fundraise For
Arrow

Animal

Education

Emergency

Events

Family

Medical

Sports

Environment

Business

Other

Solidarity with Lebanon

How it Works
Sign in
Start a Campaign
Permanent Fundraiser
Close

Help Bisso undergo a surgery

maginifier
Campaign
maginifier
Campaign
maginifier
Campaign
maginifier
Campaign
maginifier
Campaign
maginifier
Campaign
maginifier
Campaign
maginifier
Campaign
maginifier
Campaign

Animal

Help Bisso undergo a surgery

USD

EUR
GBP
JPY
SAR

USD 0

Raised of USD 550 Goal

0
Donors
6
Shares
Campaign Expired
Donation
Amira Chaib Created this campaign
#
ID # 1383
Calendar
Created on 24-08-2024
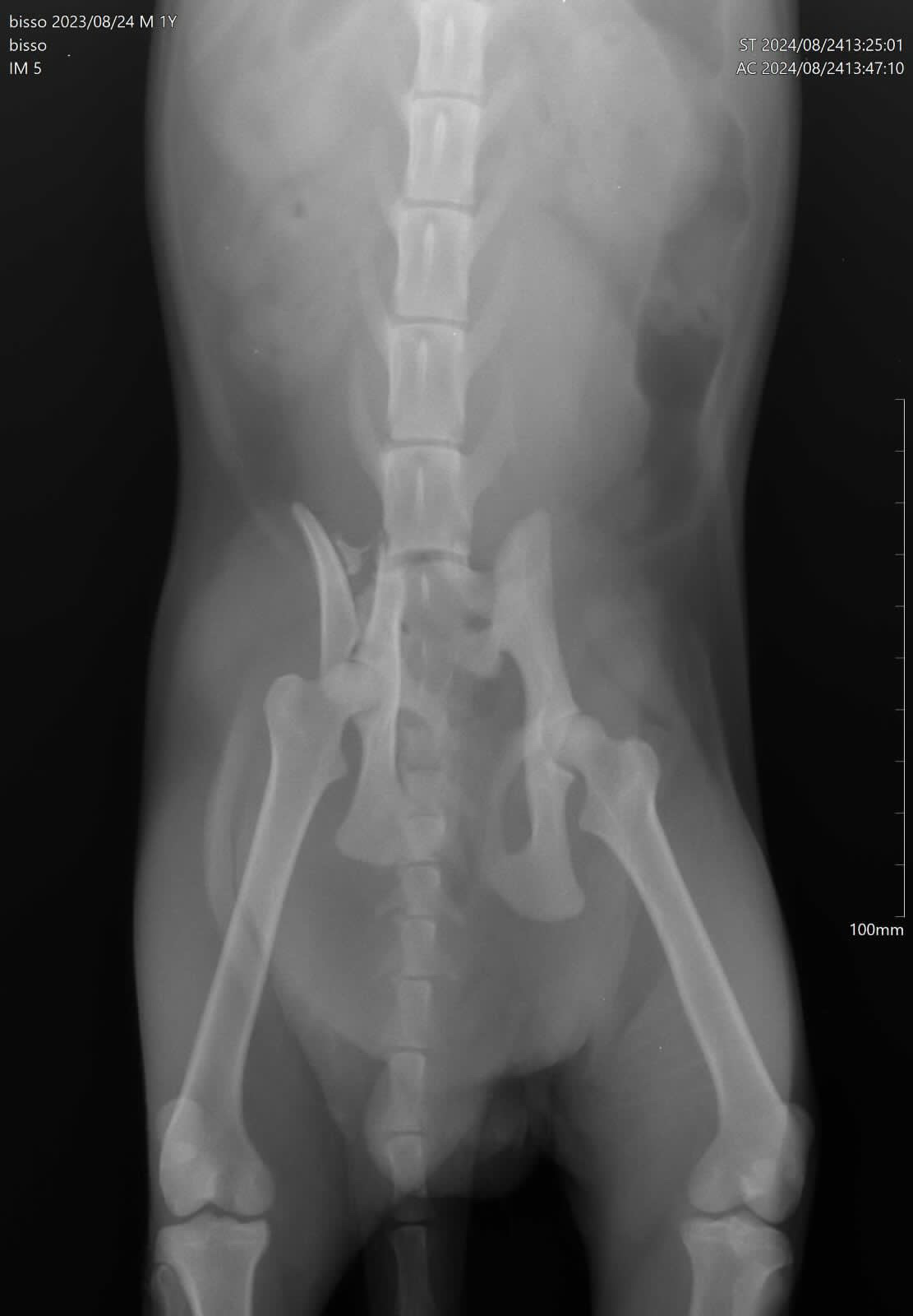
Bisso is a stray cat that was hit by a car on the street. The car did not stop to see what happened so I took him and rushed to the vet. The vet said he needs a surgery to his fractured pelvis or he will be paralyzed forever!

Organizer

Donation

Amira Chaib

Hamra

Disclaimer

The fundahope platform, its founders and coworkers do not have any direct or indirect link with the purpose and the content of the posted fundraisers.

USD

EUR
GBP
JPY
SAR

USD 0

Raised of USD 550 Goal

0
Donors
6
Shares
Campaign Expired
Close

Share Campaign

Share your campaign link using all social media platforms shortcuts below or by distributing its corresponding QR code or flyer.

Facebook

Facebook

LinkedIn

LinkedIn

Instagram

Instagram

Twitter

X

Email

Email

WhatsApp

WhatsApp

Print

Print

Scan QR Code

qrcode
Download QR Code Download Flyer
Close

Donations

Campaign
Campaign
Campaign
Campaign
Campaign
Campaign
Campaign
Campaign
Campaign
Close

Report Campaign

Name

Email*

Mobile Number*

Why are you reporting this campaign?*

Arrow

  • Please Select
  • This fundraiser is a spam
  • I am a misled donor by this fundraiser
  • I am wrongfully declared as beneficiary of this fundraiser
  • Other reasons

Description

!
Tell us in details why you think this campaign is scam, also include your contact details if you'd like us to further discuss your reporting reason.
Close

Error

Back
Close

Error

Back
Close

Report sent!

Thank you for submitting your report. At fundahope we take your concerns very seriously. We will investigate in the content of your report and take the right action when our investigations are over.

Back
Logo
Categories
About Us
How It Works
Success Stories
FAQ
Contact Us

All Rights Reserved 2025 fundahope® | Terms And Conditions | Privacy Policy

Social Link Social Link Social Link Social Link Social Link

Designed & Developed by Hellotree